“Melissa” Amenaza Jamaica como Huracán Categoría 4
27 Oct. 2025
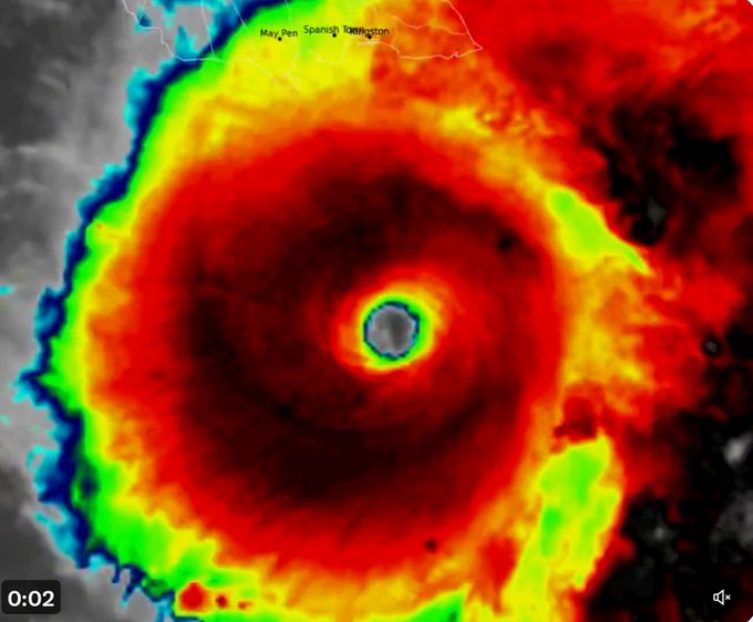
El Centro Nacional de Huracanes de Estados Unidos prevé que la tormenta se convierta este domingo en huracán de categoría 5, la más fuerte.
Melissa se dirige este domingo (26.10.2025) como un poderoso huracán hacia Jamaica, donde se pide a los habitantes que busquen refugio ante la previsión de inundaciones con potencial catastrófico.
Melissa alcanzará la más alta categoría de riesgo, según pronósticos
Melissa avanza a tan solo seis kilómetros por hora, una velocidad que preocupa a los meteorólogos porque podría provocar lluvias torrenciales sobre los países por los que pasa durante mucho más tiempo que una tormenta que se mueve más rápido.
El Centro Nacional de Huracanes de Estados Unidos (NHC) indicó que Melissa se convirtió en un huracán de categoría 4 en la escala Saffir-Simpson, con vientos de unos 225 kilómetros por hora.
La previsión del NHC es que los vientos sigan ganando fuerza y sobre el domingo por la noche la tormenta se convierta en huracán de categoría 5, la más fuerte. Esta la decimotercera tormenta tropical de la temporada en el Atlántico, que se extiende desde principios de junio hasta finales de noviembre.
EXTREMAR PRECAUCIONES 🌀
¡Potencialmente catastrófico!
Octubre 26/08:00h
El #Huracán #Melissa amanece categoría 4! en aproximación a Jamaica 🇯🇲❗️
Vientos 220 km/h
195 km al SSE de #Kingston, #Jamaica 🇯🇲
Se prevén condiciones muy peligrosas, marejadas, lluvias, vientos,… pic.twitter.com/ctUpVMD6yQ
— Geól. Sergio Almazán (@chematierra) October 26, 2025
Jamaica, Dominica y Haití los más afectados
“Este potencial de lluvia extrema, debido al movimiento lento, va a crear un evento catastrófico en Jamaica”, alertó el subdirector del NHC, Jamie Rhome. “Las condiciones se deteriorarán muy muy rápidamente en las próximas horas, no salgan después del anochecer”, urgió.
Autoridades de República Dominicana enviaron este domingo drones con alimentos a familias incomunicadas por las inundaciones. Imágenes captadas por estos dispositivos muestran zonas completamente anegadas por el desbordamiento de ríos, donde es imposible entrar o salir.
Más de 3.700 personas fueron evacuadas o desplazadas por Melissa. Además, 48 comunidades quedaron incomunicadas. Cuatro personas murieron esta semana en Haití y República Dominicana por las intensas lluvias y deslizamientos de tierra provocados por el huracán.
Fuente AFP/AP/Diario Libre
MRM-RCM





















