La Destrucción Masiva que Podría Dejar “Melissa” con sus Poderosos Vientos de Categoría 5; Autoridades y Población Temen lo Peor en las Próximas Horas
27 Oct. 2025
-
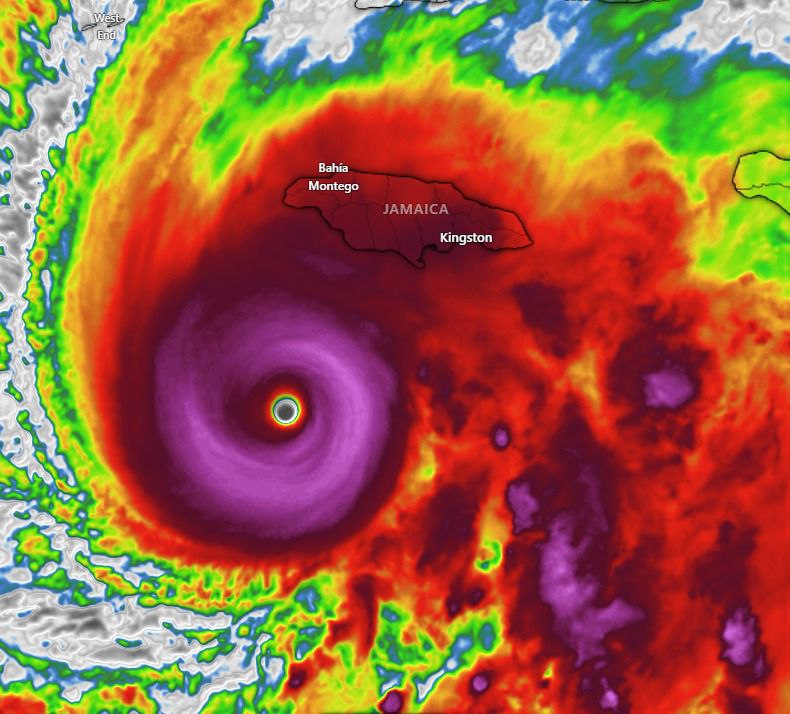
Con vientos sostenidos de 282 km/h y olas de hasta cuatro metros, el ciclón amenaza con provocar marejadas, inundaciones y deslizamientos de tierra en toda la isla caribeña.
-
Las autoridades temen una catástrofe sin precedentes mientras miles de habitantes se resisten a evacuar y la comunidad internacional prepara ayuda humanitaria urgente.
-
Se proyectaba que el ciclón tocara tierra en el sur de Jamaica alrededor de las 08:00 de la mañana (hora local).
Redacción/CAMBIO 22
Es un monstruo que avanza con vientos máximos sostenidos de 282 kilómetros por hora, de acuerdo con el Centro Nacional de Huracanes de Estados Unidos, que advirtió este 27 de octubre que el huracán Melissa ha alcanzado categoría 5, el máximo grado en la escala Saffir-Simpson. Su parada más próxima es Jamaica, donde las plegarias acompañan a las previsiones.
El gobierno del primer ministro Andrew Holness ha prometido una respuesta “rápida y eficaz”, que incluye desalojos obligatorios y ayuda internacional, pero también mucha incertidumbre, porque se trata de un fenómeno sin precedentes, incluso para un país tan habituado a los desastres como Jamaica.

La isla ya pasó por un huracán categoría 4, Gilbert, en 1988, y el año pasado estuvo también en el camino de Beryl, el grado 5 de más temprana formación en la temporada del Atlántico. Al final, su impacto fue devastador, pero no en el pico máximo de categoría.
Melissa, en cambio, es una masa descomunal con una envergadura mayor que la longitud de la isla entera, el huracán más fuerte que azotará la nación desde que comenzaron a llevarse los registros en 1851.
Se espera que ocasione olas de cuatro metros, varios días de lluvias torrenciales en los que se recibirían hasta 76 centímetros de precipitaciones, y ráfagas de viento capaces de causar daños a la infraestructura crítica, como los aeropuertos.
“No podemos movernos. Tenemos miedo. Nunca antes habíamos visto un evento de varios días como este”, reconoció a la agencia Reuters Damian Anderson, un profesor de 47 años de la localidad de Hagley Gap.

Ciudadanos renuentes y respuesta internacional
El presupuesto de emergencia del gobierno de Holness es de 33 millones de dólares, apenas un poco mayor que el que se usó para enfrentar a Beryl.
Por eso el primer ministro reconoce haber estado “de rodillas en oración”, mientras la Comunidad de Estados del Caribe (Caricom) manifestaba su “profunda preocupación y solidaridad” con la isla, así como Bahamas, Haití, Islas Caimán y Turcas y Caicos, las otras escalas del fenómeno, y el presidente dominicano, Luis Abinader, pedía “rezar por Jamaica”.
“Esto puede convertirse en una verdadera crisis humanitaria muy rápidamente, y es probable que se necesite mucho apoyo internacional”, advirtió Jonathan Portero, meteorólogo jefe de AccuWeather, en declaraciones a la agencia AP.
El Programa Mundial de Alimentos (PMA) anticipó que más de 1,7 millones de personas en Jamaica, Cuba y Haití necesitarán ayuda urgente y una asistencia alimentaria que no hay garantía de hacerles llegar, porque en el caso del primer país se anticipan daños a los aeropuertos e interrupciones de la conectividad.
La comunidad de jamaiquinos en Florida, la segunda mayor en Estados Unidos después de la de Nueva York, ha comenzado recaudaciones de víveres y dinero en efectivo para hacer llegar a la isla, con la esperanza de ayudar a paliar las necesidades que se generarán luego de lo que se pronostica como varios días bajo el impacto del huracán.
“Nos hemos aprendido a preparar por la experiencia del huracán Andrew y otros”, le dijo a la agencia EFE Marlon Hill, miembro de esta comunidad de inmigrantes, que ha establecido su centro de acopio en una bodega cercana al aeropuerto de Miami.
Pero la receptividad a las medidas de preparación no ha sido la misma dentro de la isla. Las autoridades estaban preocupadas porque hasta la noche del 27 de octubre había menos de 1.000 personas en los 130 refugios habilitados en toda la isla.
Muchos se han negado a abandonar sus hogares. “Escucho lo que dicen, pero no me voy”, dijo a AP Noel Francis, un pescador de 64 años, mientras su vecino Bruce Dawkins lo respaldaba: “No voy a ir a ninguna parte”.

Un refugio habilitado en una escuela de Old Harbour comienza a recibir a los primeros evacuados de cara a la llegada del huracán Melissa. 27 de octubre de 2025. AP
Otros de los renuentes refieren experiencias negativas recientes, como Sandra Walker, una madre soltera que recuerda que en ocasión del huracán Iván el refugio donde se alojó solo tenía unas pocas latas de carne para compartir.
Cuba y otros países caribeños están listos para el impacto
Se espera que Melissa llegue a Cuba debilitada, convertida en un huracán categoría 3, pero las autoridades de la isla ya han comenzado la evacuación de unas 600.000 personas.
El PMA activó el mecanismo de Acción Anticipatoria, que implica el traslado de cargamentos de comida para asistir a las comunidades que quedarán aisladas.
“Lo que nos preocupa de Cuba es que este huracán, según su trayectoria, va a pasar por la zona que el año pasado estuvo afectada por el huracán Oscar, ahí vimos bastante daño de la infraestructura (…) y los dobles impactos no son nada positivos”, señaló Lola Castro, directora regional del PMA para América Latina y el Caribe, en conversación con EFE.

Una mujer descansa en un refugio en Santiago de Cuba junto a sus nietos. 27 de octubre de 2025. REUTERS
Haití ya ha sufrido al menos tres muertes relacionadas con el fenómeno y la destrucción de unas 15 hectáreas de cultivos de maíz, en momentos en que al menos 5,7 millones de personas ya están atravesando distintos niveles de crisis de hambre.
Miles de personas estaban refugiadas en albergues temporales, y se había suspendido la navegación.
En las Islas Turcas y Caicos, el gobierno había comenzado a preparar a la ciudadanía para un periodo de suministro de alimentos limitado por los cortes energéticos y la interrupción de la circulación.
“El Ministerio de Defensa de Reino Unido está ya en el terreno para asistir a la fase de preparación y respuesta”, anunció en una rueda de prensa la gobernadora del territorio británico de ultramar, Dileeni Daniel-Selvaratnam.
Bahamas emitió órdenes de evacuación para cinco municipios del sureste “para garantizar que las personas que corren mayor riesgo puedan ser reubicadas de forma segura antes de que las condiciones empeoren”, de acuerdo con el primer ministro Philip Davis.
Fuente: AP, Reuters y EFE
Video: Jonathan Petramala
redaccionqroo@diariocambio22.mx
RHM/GCH



























