Huracán Melissa Golpea con Fuerza Descomunal a Jamaica con Vientos de 295 km/h y Deja un Escenario de Destrucción Total en el Caribe
28 Oct. 2025
-
El Centro Nacional de Huracanes lanza una advertencia extrema y sin precedentes: “Última oportunidad para proteger su vida”; el ojo del huracán ya impacta la zona sur de la isla
-
Autoridades habilitan refugios y alertan sobre marejadas ciclónicas e inundaciones; Melissa se perfila como uno de los huracanes más poderosos jamás registrados en el Atlántico
-
El fenómeno tiene vientos sostenidos de 295 km/h, presión de 892 mb advierte la NHC a la isla
-
“Última oportunidad para proteger su vida”: el llamado urgente a refugiados mientras la tormenta cruza Jamaica
Gabriel Hernández/ CAMBIO 22
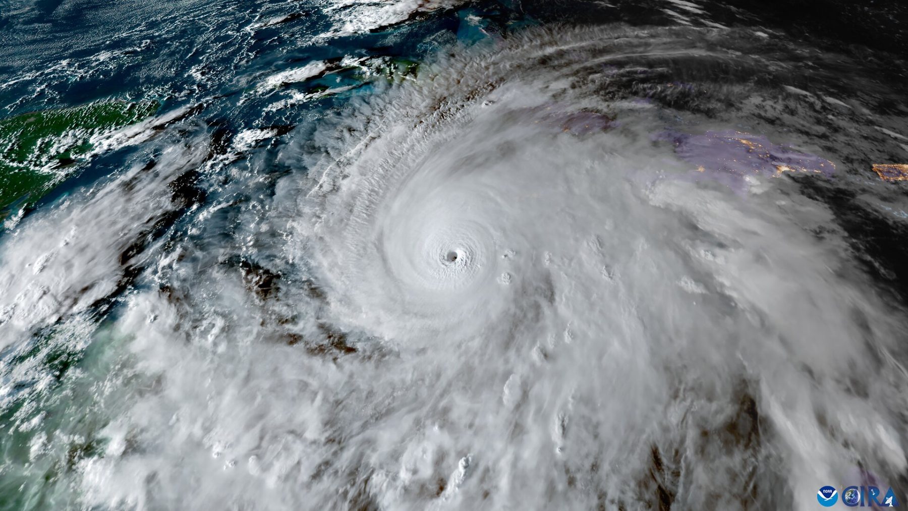
La isla de Jamaica ha entrado en estado de emergencia este martes 28 de octubre de 2025 ante el impacto del huracán Melissa, un sistema que ya alcanza categoría 5 con vientos sostenidos de aproximadamente 295 km/h (185 mph) y una presión central de 892 mb, informó el Centro Nacional de Huracanes (NHC).
Estas cifras lo colocan como uno de los huracanes más intensos registrados en el Atlántico.
El NHC emitió una advertencia sin precedentes:
“Última oportunidad para proteger su vida. ¡Esta es una situación extremadamente peligrosa y potencialmente mortal! ¡Refúgiense ahora!”.
Contexto meteorológico y climático
Melissa se formó el 21 de octubre de 2025 y desde el 25 se intensificó con rapidez, pasando de tormenta tropical a huracán categoría 5 en pocas horas, alimentada por aguas del Caribe inusualmente cálidas.
Expertos indican que este comportamiento extremo está ligado al cambio climático, el cual eleva la temperatura del mar y favorece la rápida intensificación de huracanes
El organismo precisó que no buscar resguardo puede provocar lesiones graves o incluso la muerte.
Se recomienda buscar una habitación interior sin ventanas, preferiblemente en un nivel bajo y alejada de árboles, y cubrirse con un colchón o casco para mayor protección.
La pared del ojo del huracán ya llega a la costa sur de Jamaica, según imágenes satelitales y pronósticos meteorológicos, la llegada oficial a tierra firme del centro del ojo podría producirse “a última hora de esta mañana o primeras horas de la tarde”.
Con un desplazamiento lento de aproximadamente 11 km/h, el huracán prolonga su impacto sobre la isla, aumentando el potencial de destrucción.
Jamaica no enfrenta únicamente vientos extremos, las autoridades han advertido sobre marejadas ciclónicas que podrían azotar la costa sur, así como inundaciones por lluvias torrenciales que caen desde las montañas hacia las zonas bajas.
Periodistas locales advirtieron de “ríos de agua que bajan como tobogán” y arrastran no sólo personas sino también vehículos y construcciones, las comunidades costeras y montañosas están en riesgo crítico.
La magnitud del huracán Melissa también lo sitúa en un contexto histórico. Su presión de 892 mb solo ha sido igualada o superada por unos pocos huracanes atlánticos, como Wilma (882 mb en 2005) y Gilbert (888 mb en 1988).
La velocidad y fuerza alcanzadas durante su rápida intensificación en aguas del Caribe elevan las alertas por su posible impacto en infraestructura, comunicaciones y vidas humanas.
Las autoridades jamaicanas han habilitado cientos de refugios certificados, evacuado zonas costeras vulnerables y procedido a limpiar desagües, cárcavas y vías fluviales para mitigar el riesgo de inundación.
El director de planificación de Kingston y St. Andrew indicó que “se están tomando todas las precauciones”, aunque reconoció que la lentitud del huracán y su enorme tamaño podrían superar las capacidades locales de respuesta.
Para quienes se encuentran en la isla, el llamado es a permanecer refugiados hasta que sea seguro salir, no confiarse ante la aparente calma del ojo y evitar zonas inundables, techos frágiles o estructuras sin espacio interior seguro.
Preparar agua, alimentos, linterna, radio de baterías y documentos importantes es esencial.
🔴En VIVO:
🔴 EN VIVO: El poderoso huracán Melissa está a punto de tocar tierra en Jamaica
Cortesía: SeeJamaica https://t.co/FW3DWX094y
— Sepa Más (@Sepa_mass) October 28, 2025
Amenazas múltiples y escalofriantes
-
Vientos extremos: ráfagas que podrían superar los 300 km/h, capaces de arrancar techos, derribar infraestructura y paralizar servicios esenciales.
-
Marejada ciclónica y oleaje destructivo, principalmente en la costa sur hacia zonas como Westmoreland, St. Elizabeth, Manchester y Clarendon, que podrían experimentar olas de 3 a 4 metros o más.
-
Lluvias torrenciales e inundaciones: se prevén hasta 1 000 mm en algunas áreas montañosas, lo que incrementa el riesgo de corrimientos de tierra, especialmente por la topografía de Jamaica.
-
Prolongación del evento: por su lentitud, Melissa podría permanecer sobre la isla durante días, aumentando la magnitud del daño.
Las próximas horas serán decisivas para Jamaica, más allá del huracán, la capacidad de la isla para responder marcará la diferencia entre una evacuación eficaz y una crisis prolongada.
Qué sigue después del paso del huracán
Una vez que Melissa cruce Jamaica, se espera que avance hacia el sudeste de Cuba y luego hacia las Bahamas y las Islas Turcas y Caicos, sin embargo, el impacto que deje en Jamaica tanto humano como infraestructura podría tardar en repararse, con cortes de electricidad, comunicaciones aisladas y daños masivos a viviendas y carreteras.
Con información del Sistema de Noticias CAMBIO 22
Cambio 22 informará puntualmente la evolución del huracán, su trayectoria tras Jamaica y los efectos que puedan sentirse en la región.
GCH




























