Huracán Melissa Alcanza Ráfagas de Más de 300 km/h y Desata Debate por Crear una Nueva Categoría 6 en la Escala Saffir-Simpson
28 Oct. 2025
-
El fenómeno, que tocó tierra en Jamaica con vientos sostenidos de 297 km/h, desafía los límites establecidos para huracanes de categoría 5
-
La nota explica cómo se mide la intensidad de los ciclones tropicales mediante la Escala Saffir-Simpson, sus límites actuales y por qué expertos consideran necesario actualizarla ante huracanes cada vez más potentes
Redacción/ CAMBIO 22
Los huracanes traen consigo vientos fuertes capaces de causar efectos devastadores a través de territorios extensos, entre algunos efectos de los vientos fuertes están la generación de marejadas, destrucción de techos y desplomes de arboles y postes de alumbrado público.
La Escala de Vientos Saffir-Simpson categoriza a los huracanes en base a la velocidad de sus vientos, teniendo como valor inicial las 74 mph (119 km/h) para un huracán de categoría 1 y vientos comenzando 157 mph (252 km/h)para un huracán de categoría 5.
Típicamente, los vientos más fuertes ocurren en la pared del ojo del huracán, vientos máximos sostenidos La velocidad del viento más fuerte en promedio durante un período de 1 minuto a una altura de 10 m (33 pies), asociada a la circulación del ciclón tropical en un punto dado en el tiempo, por lo general es un estimado; rara vez se mide directamente.
La presión central es correlativa con la intensidad, pero la relación entre presión y viento varía.
Ráfagas
Las ráfagas son vientos máximos de muy poca duración (3-5 segundos), en promedio, durante un huracán, las ráfagas de 3 segundos de duración que ocurren en un minuto son 1.3 veces ó 30% más fuertes que un minuto de vientos sostenidos.
Vientos huracanados según la altura
Los rascacielos también son vulnerables a los vientos huracanados, en los niveles más altos de estos edificios se puede experimentar velocidades mayores, debido a que el viento aumenta con la altura. Investigaciones recientes indican que es mejor quedarse por debajo del décimo piso, pero por encima de los primeros pisos que tienen riesgo de inundarse.
Es común que los edificios altos sufran daños considerables debido a la presencia de ventanas expuestas. Por consiguiente, las áreas alrededor de estos edificios pueden ser muy peligrosas.
¿Dónde se encuentran los vientos más fuertes?
Por lo general, los vientos más fuertes de un huracán se encuentran en el lado derecho de la tormenta, debido a que el desplazamiento del huracán contribuye a la generación de remolinos de viento. Un huracán con vientos de 90 mph (145 km/hr) en un estado estacionario puede generar vientos de hasta 100 mph (160 km/hr) en el lado derecho, y solamente 80 mph (130 km/hr) en el lado izquierdo si comenzara a moverse en cualquier dirección a tan solo 10 mph (16 km/hr).
El “lado derecho de la tormenta” se define con respecto a la trayectoria de la misma: si el huracán se mueve hacia el oeste, el lado derecho se encuentra al norte de la tormenta; si el huracán se mueve al norte, el lado derecho se encontrará al este de la tormenta, y así respectivamente.
Nótese también que los avisos de los centros de pronósticos toman en cuenta esta asimetría. Se puede afirmar que los vientos más fuertes se encuentran alrededor de las 100 mph [160 km/hr].
Vientos fuertes tierra adentro
A veces los vientos fuertes de un huracán pueden extenderse a áreas de tierra adentro, especialmente si la tormenta se mueve rápidamente.
Por ejemplo, el huracán Hugo tomó a la ciudad de Charlotte en Carolina del Norte por sorpresa. Aunque Charlotte es una ciudad que se encuentra a 200 kilómetros de la costa, y es con frecuencia un destino para personas que huyen de la costa, Hugo llegó a arremeter contra Charlotte como huracán Categoría 1.
El ciclón derribó muchos árboles a lo largo de carreteras y vecindarios, dejando a muchos sin electricidad. Se reportaron caídas de árboles en gran parte de la región oeste de Carolina del Norte, incluyendo las ciudades de Winston-Salem, High Point, Boone, Hickory, Morganton y Statesville.
Las escuelas tuvieron que permanecer cerradas durante dos semanas. Este ciclón inclusive generó varios tornados en la zona.
En 2004, el Huracán Charley tocó tierra como un huracán Categoría 4 cerca de Cayo Costa, FL, moviéndose a 18 nudos.
Charley mantuvo intensidad de huracán a lo largo de toda la península de la Florida, los vientos huracanados causaron daños cuantiosos en la ciudad de Orlando, se reportaron vientos sostenidos de 69 nudos con ráfagas de 91 nudos.
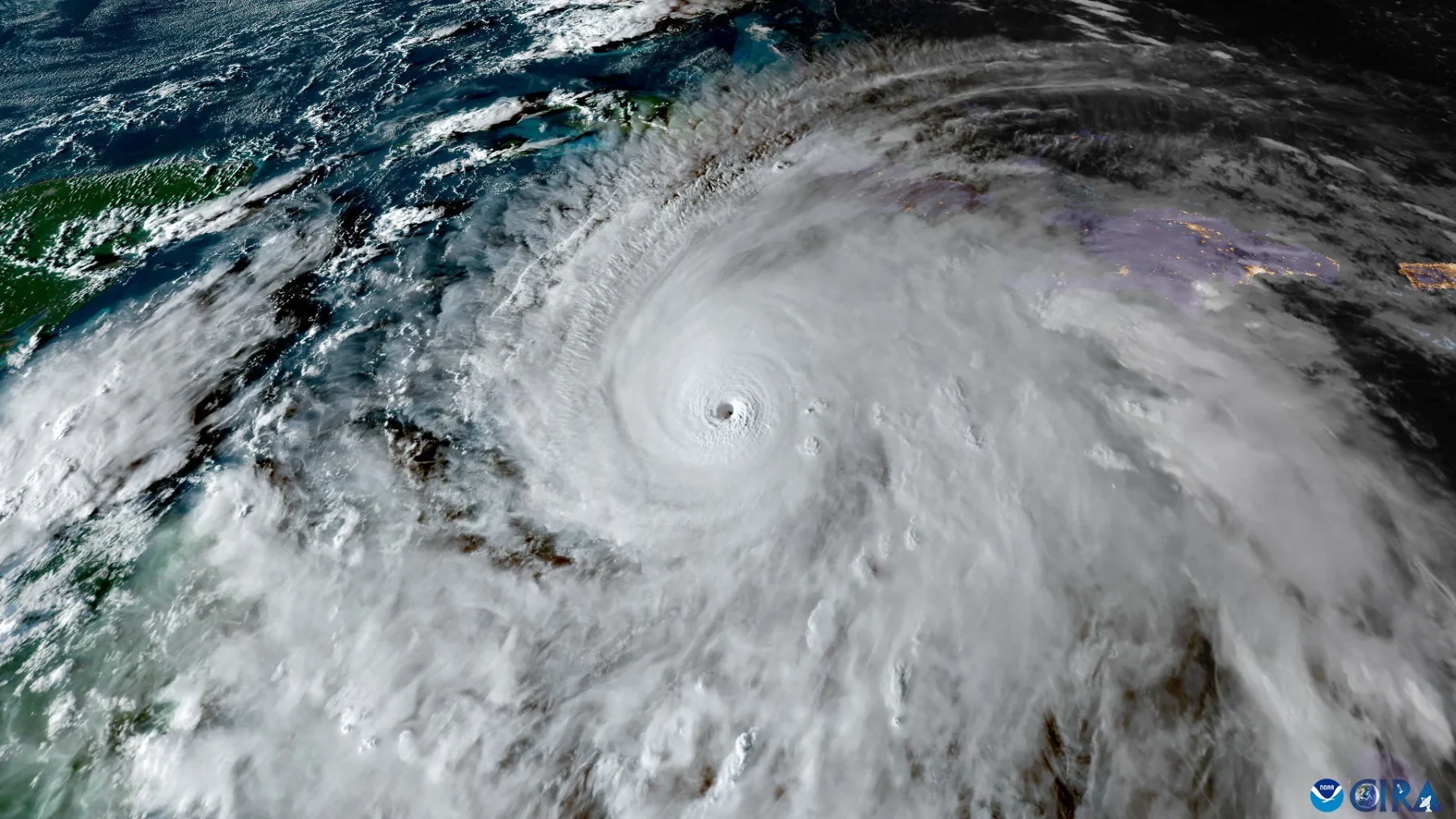
La actual intensidad del Huracán Melissa con vientos sostenidos estimados en torno a los 295 km/h y presión central de 892 mb— plantea un reto concreto al sistema de clasificación vigente. La Escala de Vientos Saffir‑Simpson (SSHWS)detalla que la categoría 5 comienza en 252 km/h (157 mph)y no establece un límite superior, lo que deja sin referencia clara cómo comunicar el riesgo de tormentas que exceden los parámetros previos.

Investigadores señalan que la escala “abierta” se vuelve insuficiente en un clima que favorece huracanes más potentes, por lo que proponen una categoría 6 para vientos superiores a ~192 mph (~309 km/h) como forma de reflejar mejor el salto cualitativo en destrucción que se observa en estos fenómenos.
Implementar una categoría 6 en la escala podría tener implicaciones importantes para la comunicación de riesgo y planificación de emergencias, este avance ayudaría a transmitir con mayor precisión que no todas las tormentas de categoría 5 son iguales, una que rompe récords como Melissa exige medidas extraordinarias.
El huracán Melissa alcanzó vientos máximos sostenidos de hasta 297 km/h (185 millas por hora).
Esto lo consolidó como un huracán de categoría 5, la más alta en la escala Saffir-Simpson.
Es importante destacar que, aunque los vientossostenidos (la velocidad constante del viento) alcanzaron esa cifra, se reportaron ráfagas (picos momentáneos de viento) aún más fuertes, según algunos informes, una sonda de reconocimiento aéreo registró ráfagas de hasta 388 km/h(241 mph).
Por otro lado, expertos advierten que cambiar la escala sin reforzar educación pública y protocolos de evacuación podría generar confusión, pues el peligro no solo está en los vientos sino también en las marejadas, lluvias torrenciales e inundaciones elementos que la SSHWS no contempla de forma explícita.
Con Melissa sobre Jamaica, la urgencia de replantear cómo medimos y comunicamos las amenazas huracanadas queda más patente que nunca.
Con Datos de huracanes.fiu.edu e información del Sistema de Noticias CAMBIO 22
GCH































